Cận cảnh những lưỡi câu trong phim chụp X quang rùa đầu to quý hiếm

NDĐT – Trong số 45 cá thể rùa đầu to được chụp X quang, các lưỡi câu cá được tìm thấy bên trong hai cá thể rùa đã chết và bốn cá thể còn sống. Đáng chú ý là những người săn bắt trái phép loài rùa đang bị xếp hạng nguy cấp này đã sử dụng các lưỡi câu cá để bắt rùa, và các lưỡi câu này vẫn nằm trong cơ thể rùa sau quá trình tiêu hóa.

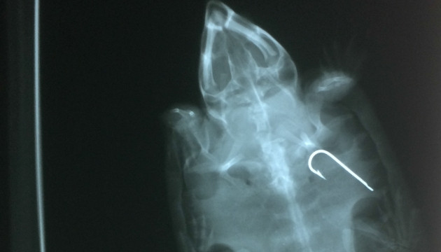
Lưỡi câu nằm trong dạ dày một cá thể rùa đầu to.
Lưỡi câu nằm trong dạ dày một cá thể rùa đầu to.

Mới đây, Chương trình rùa châu Á (ATP) thuộc tổ chức Indo-Myanmar Conservation (IMC) và Trung tâm bảo tồn Rùa Cúc Phương (TCC) đã cùng với Trung tâm Điều trị thú y đa khoa iVet tại Hà Nội tiến hành chụp X-quang cho 45 cá thể rùa đầu to hiện đang được chăm sóc, cứu hộ tại TCC.

Trong đó, 42 cá thể còn sống và 3 cá thể đã chết kể từ vụ tịch thu gần đây được tiến hành chụp X-quang. Các lưỡi câu cá được tìm thấy bên trong hai cá thể rùa đã chết và bốn cá thể còn sống, do đó cần tiến hành phẫu thuật để loại bỏ lưỡi câu trong cơ thể rùa.

Một lưỡi câu khác trong vòm họng.

Trong số các cá thể rùa này, có 23 cá thể được giải cứu từ các vụ buôn bán trái phép và được chuyển về TCC từ Trung tâm cứu hộ động vật hoang dã Hà Nội ngày 30-9-2015. Các cá thể rùa đầu to còn lại được thu giữ từ các vụ vi phạm được phát hiện tại tỉnh Ninh Bình tháng 8-2015.

Rùa đầu to (Platysternon megacephalum) được xếp hạng loài Nguy cấp theo danh lục đỏ của Tổ chức Bảo tồn Thiên nhiên Quốc tế (IUCN) và được bảo vệ nghiêm ngặt theo Nghị định 32/2006/ND-CP. Tuy nhiên, loài này vẫn đang bị đe dọa nghiêm trọng bởi sự gia tăng nạn săn bắt và buôn bán trái phép. Gần đây, số lượng lớn rùa đầu to đã được tịch thu từ các vụ buôn bán trái phép tại Việt Nam, đe dọa đến sự tồn tại của quần thể hoang dã trong tự nhiên.

Các cá thể rùa đầu to hiện được chăm sóc, cứu hộ tại Trung tâm bảo tồn rùa Cúc Phương (TCC) và Trung tâm cứu hộ, bảo tồn và phát triển sinh vật (CRCO) thuộc Vườn quốc gia Hoàng Liên, tỉnh Lào Cai. Bên cạnh thách thức duy trì số lượng các cá thể rùa trong điều kiện nuôi nhốt, nhiệm vụ quan trọng là bảo vệ quần thể rùa trong tự nhiên và cứu hộ các cá thể được tịch thu từ các vụ buôn bán trái phép.

Một trong 45 cá thể rùa đầu to được chụp X quang.

Có thể bạn quan tâm