Siêu bão Haiyan tàn phá Philippines, hơn 120 người thiệt mạng

NDĐT - Hơn 100 người đã thiệt mạng và hơn 100 người khác bị thương chỉ trong một thành phố một ngày sau khi siêu bão Haiyan đổ bộ vào miền trung Philippines, một quan chức chính phủ ngày 9-11 cho biết.

Các mảnh vỡ trôi nổi trên một con phố bị ngập lụt trong khi bão Haiyan tàn phá thành phố Tacloban ngày 8-11. (Ảnh: Reuters)
Các mảnh vỡ trôi nổi trên một con phố bị ngập lụt trong khi bão Haiyan tàn phá thành phố Tacloban ngày 8-11. (Ảnh: Reuters)

Phó Tổng giám đốc Cục Hàng không Dân dụng Philippines John Andrews cho hay, hơn 100 thi thể hiện đang nằm la liệt trên các đường phố ở thành phố Tacloban, thủ phủ tỉnh Leyte.

Cơ quan cứu trợ đang gặp khó khăn trong việc tiếp cận với thành phố này khi sân bay Tacloban đã bị hư hỏng nặng và chỉ có các chuyên cơ quân sự có thể hoạt động, ông Andrews cho biết thêm.

Hầu hết các khu vực chịu ảnh hưởng nặng nề nhất hiện đang trong tình trạng bị cắt đứt liên lạc do điện lưới và hệ thống liên lạc bị phá hủy.

Một phóng viên của đài truyền hình GMA (Philippines) cho biết, anh đã chứng kiến khoảng 20 thi thể nằm chất đống trong một nhà thờ ở Palo, một thị trấn ven biển cách Tacloban khoảng 10 km về phía nam.

Các báo cáo ban đầu từ Tacloban và Palo làm dấy lên lo ngại về các thống kê thiệt hại và thương vong dự kiến sẽ còn tăng lên khi quân đội và lực lượng cứu hộ tiếp cận được với các khu vực bị chia cắt.

Bão Haiyan, cơn bão được cho là mạnh nhất thế giới trong năm nay, đã càn quét qua hai tỉnh Leyte và Samar thuộc miền trung Philippines rạng sáng ngày hôm qua với sức gió mạnh nhất gần tâm bão lên tới 315 km/giờ.

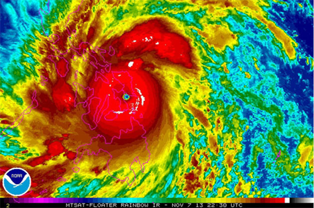
Tâm bão Haiyan và tầm ảnh hưởng của nó. (Ảnh vệ tinh của NOAA chụp ngày 7-11)

Nhà chức trách Philippines cho biết thêm, bão Haiyan đã ảnh hưởng đến hơn 12 triệu người sống trong khu vực trên đường đi của siêu bão. Phần lớn các khu vực bị ảnh hưởng do bão hiện đang trong quá trình phục hồi sau trận động đất với cường độ 7,2 độ richter vào tháng trước tại miền trung Philippines.

Trung bình hằng năm, Philippines phải hứng chịu sự tàn phá của khoảng 20 cơn bão lớn nhỏ. Bopha, cơn bão mạnh nhất thế giới năm 2012 cũng đã đổ bộ vào nước này khiến hơn hai nghìn người dân ở đảo Mindanao thiệt mạng hoặc mất tích.

Haiyan hiện đã tiến vào biển Đông và dự kiến sẽ đổ bộ vào đất liền Việt Nam vào sáng sớm ngày 10-11.
 

Có thể bạn quan tâm