Khánh Hòa xây dựng Kế hoạch tổng thể phục hồi vịnh Nha Trang

Theo Thường trực Tỉnh ủy Khánh Hòa, việc suy giảm phần lớn rạn san hô tại khu bảo tồn biển Hòn Mun là một quá trình chịu tác động tích lũy từ nhiều năm, gồm cả nguyên nhân khách quan và chủ quan. 

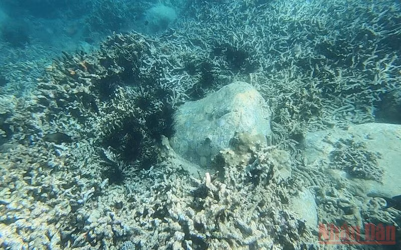
Nhím biển là loài động vật gây tác hại không nhỏ tới rạn san hô.
Nhím biển là loài động vật gây tác hại không nhỏ tới rạn san hô.

Nguyên nhân khách quan là do tác động của biến đổi khí hậu, ảnh hưởng của cơn bão Damrey năm 2017 và cơn bão số 9 năm 2021. 

Nguyên nhân chủ quan là do công tác quản lý nhà nước, sự phối hợp giữa các sở, ngành, địa phương liên quan, hoạt động của Ban Quản lý vịnh Nha Trang còn nhiều bất cập, hạn chế, thiếu sót. Nhiều hoạt động của con người tác động lên hệ sinh thái biển vịnh Nha Trang nói chung và rạn san hô tại khu bảo tồn biển Hòn Mun nói riêng như khai thác thủy sản trái phép, nạo vét, xây dựng các công trình ven biển không đúng quy định, xả thải từ các hoạt động du lịch... vẫn chưa được xử lý kịp thời.

Nhằm ngăn chặn tình trạng suy giảm rạn san hô trong vịnh Nha Trang, trước mắt, tạm dừng hoạt động du lịch lặn biển tại các khu vực dễ làm tổn hại rạn san hô trong khu vực vùng vịnh Nha Trang, đặc biệt là tại khu vực Hòn Mun. Đồng thời, khoanh vùng bảo vệ các khu vực nhạy cảm, đang có dấu hiệu phục hồi các hệ sinh thái, điển hình là rạn san hô và các bãi giống, bãi đẻ của vịnh Nha Trang.

Về lâu dài, Thường trực Tỉnh ủy Khánh Hòa yêu cầu các ban, ngành, địa phương có liên quan tập trung xây dựng Kế hoạch tổng thể phục hồi vịnh Nha Trang, báo cáo Thường trực Tỉnh ủy, Ban Thường vụ Tỉnh ủy trong tháng 7/2022.

Trong đó tập trung các nội dung: Rà soát lại toàn bộ cơ chế quản lý, bảo tồn vịnh Nha Trang, công tác phối hợp liên ngành giữa các sở, ngành, địa phương trong tỉnh, công tác phối hợp giữa Ủy ban nhân dân tỉnh Khánh Hòa với các bộ, ngành Trung ương để ban hành hoặc đề xuất cơ quan có thẩm quyền ban hành cơ chế quản lý, bảo tồn vịnh Nha Trang hiệu quả, bền vững, đúng quy định; rà soát, củng cố, kiện toàn bộ máy, nâng cao hiệu lực, hiệu quả hoạt động của Ban Quản lý vịnh Nha Trang hoặc nghiên cứu mô hình Ban Điều phối vịnh Nha Trang có đủ thẩm quyền theo quy định, gắn với trách nhiệm của tập thể và người đứng đầu trong công tác quản lý vịnh Nha Trang.

Về phương án quản lý, xem xét, hoàn thiện cơ chế quản lý tài chính để Ban Quản lý thực hiện tốt chức năng, nhiệm vụ được giao; nghiên cứu phương án quản lý, khai thác vùng mặt nước trong vịnh Nha Trang theo hướng xã hội hóa, xây dựng mô hình quản trị công tư, kết hợp hoạt động kinh doanh du lịch, dịch vụ gắn với nhiệm vụ bảo vệ các khu bảo tồn biển trên vịnh Nha Trang một cách hiệu quả, bền vững; xây dựng kế hoạch điều tra, khảo sát, đánh giá định kỳ các tác nhân của làm suy giảm rạn san hô trên vịnh Nha Trang, đề ra các giải pháp phù hợp để bảo vệ và phục hồi các rạn san hô một cách bền vững, lâu dài.

Có thể bạn quan tâm