Khánh Hòa xây dựng Kế hoạch tổng thể phục hồi vịnh Nha Trang
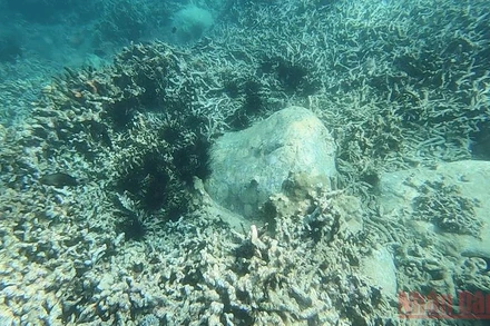
Theo Thường trực Tỉnh ủy Khánh Hòa, việc suy giảm phần lớn rạn san hô tại khu bảo tồn biển Hòn Mun là một quá trình chịu tác động tích lũy từ nhiều năm, gồm cả nguyên nhân khách quan và chủ quan.