Khu bảo tồn biển Lý Sơn nằm trong quy hoạch hệ thống khu bảo tồn biển Việt Nam được Thủ tướng Chính phủ phê duyệt, có tổng diện tích vùng biển tự nhiên 7.113ha, trong đó phân khu bảo vệ nghiêm ngặt 620ha, phân khu phục hồi sinh thái 2.024 ha và phân khu dịch vụ hành chính 4.469ha.
Nhiều hoạt động bảo tồn
Phó Giám đốc Sở Nông nghiệp và Phát triển nông thôn tỉnh Quảng Ngãi Nguyễn Đức Bình cho biết, Khu bảo tồn biển Lý Sơn được thành lập vào đầu năm 2016. Hằng năm, tỉnh đều xây dựng và thực hiện kế hoạch quản lý, bảo vệ khu bảo tồn biển mang lại nhiều kết quả quan trọng.
Cụ thể, công tác tuyên truyền quy định pháp luật về bảo tồn biển, quản lý khai thác và bảo vệ đa dạng sinh học, bảo vệ nguồn lợi thủy sản biển bước đầu đã tạo thay đổi nhận thức của cộng đồng ngư dân; công tác tuần tra, kiểm soát được thực hiện thường xuyên, kịp thời ngăn chặn các hành vi vi phạm pháp luật trong khu bảo tồn biển; công tác huy động nguồn lực và hợp tác với Tổ chức Bảo tồn thiên nhiên Quốc tế đã giúp cán bộ quản lý, đội ngũ tình nguyện và lan tỏa đến người dân trong việc nâng cao ý thức về ngăn ngừa, kiểm soát và giảm thiểu ô nhiễm môi trường biển.
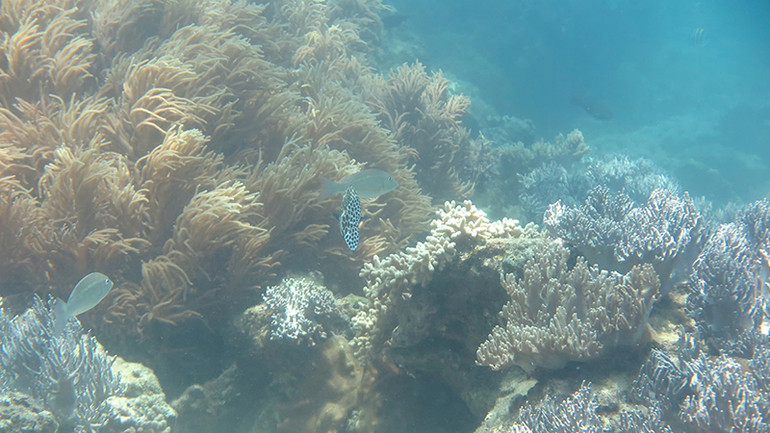
![]() |
| Khu bảo tồn biển Lý Sơn, viên ngọc quý về đa dạng sinh học biển của Quảng Ngãi. |
Đơn cử, trên lĩnh vực bảo tồn đa dạng sinh học và bảo vệ nguồn lợi thủy sản, Ban Quản lý khu bảo tồn biển Lý Sơn chủ trì, phối hợp các cơ quan chuyên môn triển khai thực hiện bốn nhiệm vụ nghiên cứu, gồm: quan trắc đa dạng sinh học rạn san hô; quan trắc, đánh giá đa dạng sinh học thảm cỏ biển; điều tra, đánh giá nguồn lợi và đề xuất giải pháp bảo vệ, phát triển, khai thác bền vững ốc cừ ở vùng biển Lý Sơn; thả bổ sung 40 nghìn cá thể hải sâm vú, cá thể ốc nhảy, ốc hương tại vùng phục hồi sinh thái;
Phục dựng tiêu bản khô cá thể rùa biển quý hiếm (thuộc họ rùa da) có nguy cơ tuyệt chủng cao bị sa lưới của ngư dân nhằm mục đích trưng bày, tuyên truyền cho người dân, cán bộ và du khách đến Lý Sơn biết thêm về tầm quan trọng của rùa biển, nâng cao nhận thức bảo vệ động vật hoang dã sắp tuyệt chủng; đồng thời, tổ chức lặn bắt, thu gom, tiêu hủy hàng trăm kg cá thể sao biển gai tại các vùng rạn san hô trong phân khu bảo vệ nghiêm ngặt.
![]() |
| Phục dựng tiêu bản rùa da quý hiếm để trưng bày nhằm tuyên truyền cho cộng đồng nâng cao nhận thức bảo vệ động vật hoang dã sắp tuyệt chủng. |
Song song đó, Ban Quản lý khu bảo tồn biển Lý Sơn còn phối hợp Viện Hải Dương học Nha Trang thực hiện đề tài nghiên cứu, đánh giá nguồn lợi sinh vật biển và xây dựng giải pháp khai thác hợp lý, phát triển bền vững ở vùng biển huyện Lý Sơn và lân cận; tham gia thực hiện hai mô hình trồng phục hồi rong biển và thả tái tạo sinh vật có giá trị kinh tế; hướng dẫn các doanh nghiệp đăng ký tham gia chương trình “Giảm một chai, cứu tương lai”; thỏa thuận với Tổ chức Bảo tồn thiên nhiên Quốc tế IUCN về giám sát rác thải biển.
Đối với công tác thực thi pháp luật, Giám đốc Khu bảo tồn biển Lý Sơn Huỳnh Ngọc Dũng cho biết, bên cạnh việc lắp đặt 204 phao tiêu phân định các vùng chức năng của Khu bảo tồn biển Lý Sơn, đơn vị còn phối hợp với các cơ quan liên quan tổ chức 155 chuyến tuần tra trên biển, xử phạt 34 vụ với số tiền 165,5 triệu đồng.
Xâm hại vẫn tiếp diễn
Bên cạnh những kết quả đạt được, Sở Nông nghiệp và Phát triển nông thôn tỉnh Quảng Ngãi cho rằng, tình trạng xâm hại Khu bảo tồn biển Lý Sơn vẫn tiếp tục diễn ra. Đó là, tình trạng sử dụng chất nổ, xung điện để khai thác hải sản vẫn còn xảy ra. Hàng ngày, hàng trăm thuyền, thúng, ca nô của ngư dân đánh bắt hải sản, tàu thuyền qua lại, neo đậu trong khu bảo tồn.
Theo thống kê sơ bộ, có gần 1.000 ngư dân Lý Sơn, hầu hết là người lớn tuổi, phụ nữ, trình độ học vấn thấp, thuộc diện hộ nghèo, cận nghèo, không có phương tiện sản xuất hoặc phương tiện nhỏ không có khả năng đánh bắt xa bờ nên sống phụ thuộc vào vùng biển xung quanh đảo, trong khi đó việc đào tạo, chuyển đổi nghề nghiệp, tạo sinh kế thay thế cho người dân còn khó khăn.
![]() |
| Tình trạng khai thác cát biển phục vụ nghề trồng hành, tỏi gây ảnh hưởng đến các rạn san hô, thảm cỏ biển. |
Đáng chú ý, những năm gần đây, tốc độ đô thị hóa ở Lý Sơn diễn ra rất nhanh, một số ngành kinh tế phát triển nóng, không theo quy hoạch, làm mất cân bằng sinh thái, phá vỡ cảnh quan môi trường, ảnh hưởng đến môi trường sống của các loài thủy sinh. Bên cạnh đó, tình trạng khai thác cát biển phục vụ nghề trồng hành, tỏi là một trong những nguyên nhân gây sạt lở bờ biển, ảnh hưởng đến các rạn san hô, thảm cỏ biển. Ngoài ra, dư lượng thuốc trừ sâu trong việc trồng hành, tỏi làm ô nhiễm môi trường nước, ảnh hưởng đến môi trường sống của các loài thủy sinh.
“Khu bảo tồn biển Lý Sơn, một trong những viên ngọc quý về đa dạng sinh học biển của Quảng Ngãi, với hơn 700 loài động thực vật biển, trong đó có 157 loài san hô, 202 loài cá, 137 loài rong biển và 6 loài cỏ biển. Tuy nhiên, các hoạt động đánh bắt hải sản thiếu bền vững, khai thác quá mức, biến đổi khí hậu và ô nhiễm môi trường khiến độ phủ san hô sống và thảm cỏ biển suy giảm đáng kể”, đồng chí Huỳnh Ngọc Dũng lo lắng.
![]() |
| Độ phủ san hô sống và thảm cỏ biển của Khu bảo tồn biển Lý Sơn bị suy giảm nghiêm trọng, cần phải tăng cường bảo vệ. |
Phát huy giá trị khu bảo tồn biển
Nhằm giảm thiểu các nguy cơ xâm hại, theo đồng chí Nguyễn Đức Bình, việc xây dựng kế hoạch quản lý Khu bảo tồn biển Lý Sơn định hướng đến năm 2030 là hết sức cần thiết để giải quyết các vấn đề phát sinh trong thực hiện nhiệm vụ, đồng thời xác lập các nền tảng cơ bản, tiếp tục duy trì và bảo vệ đa dạng sinh học cho Khu bảo tồn biển Lý Sơn.
Trên cơ sở tham mưu của Sở Nông nghiệp và Phát triển nông thôn tỉnh Quảng Ngãi, mới đây, tỉnh Quảng Ngãi đã phê duyệt kế hoạch với mục tiêu chung là quản lý, bảo vệ, bảo tồn các giá trị tài nguyên thiên nhiên, môi trường, đa dạng sinh học; các giá trị di tích văn hóa; khai thác hợp lý và phát huy các giá trị trong Khu bảo tồn biển Lý Sơn; cải thiện và nâng cao đời sống của cộng đồng dân cư sống trong và xung quanh khu bảo tồn; phục vụ phát triển du lịch sinh thái tại huyện đảo Lý Sơn bền vững.
![]() |
| Quan trắc thảm cỏ biển Khu bảo tồn biển Lý Sơn. |
Theo đó, phấn đấu đến năm 2030, độ phủ san hô san hô sống đạt khoảng 30%; diện tích hệ sinh thái rong, cỏ biển đạt 70ha; những loài động, thực vật nguy cấp, quý, hiếm có nguy cơ tuyệt chủng cần được ưu tiên bảo vệ theo quy định tại Sách đỏ IUCN, Sách đỏ Việt Nam; vận động 100% doanh nghiệp hoạt động du lịch tại Lý Sơn tham gia bảo tồn tài nguyên thiên nhiên, bảo vệ môi trường và phát triển du lịch sinh thái trong Khu bảo tồn biển Lý Sơn.
Để thực hiện hiệu quả mục tiêu đề ra, tỉnh yêu cầu các sở, ngành chức năng của tỉnh và huyện Lý Sơn khẩn trương xây dựng, hoàn thiện khung thể chế; nghiên cứu, bảo tồn, tái tạo và phục hồi các hệ sinh thái; truyền thông, nâng cao nhận thức, ý thức trong cộng đồng về bảo tồn đa dạng sinh học gắn với bảo vệ môi trường, thích ứng với biến đổi khí hậu; chương trình thực thi pháp luật; hỗ trợ chuyển đổi nghề, phát triển sinh kế cộng đồng bền vững.
![]() |
| Bảo vệ rạn san hô và thảm thực vật biển là vấn đề cấp thiết nhằm bảo tồn đa dạng sinh học tại Khu bảo tồn biển Lý Sơn. |
“Việc triển khai thực hiện kế hoạch quản lý Khu bảo tồn biển Lý Sơn đến năm 2025, định hướng đến năm 2030 phải đảm bảo cân đối giữa mục tiêu phát triển kinh tế và bảo tồn; hài hòa lợi ích giữa các bên liên quan trong việc quản lý, khai thác giá trị Khu bảo tồn biển Lý Sơn, trên cơ sở lợi ích cộng đồng người dân”, đồng chí Trần Phước Hiền, Phó Chủ tịch Ủy ban nhân dân tỉnh Quảng Ngãi lưu ý.





